Hauptinhalt

Chälenrain: Verformung der Fahrbahn aufgrund eines Wasserleitungsbruches

5. September 2025

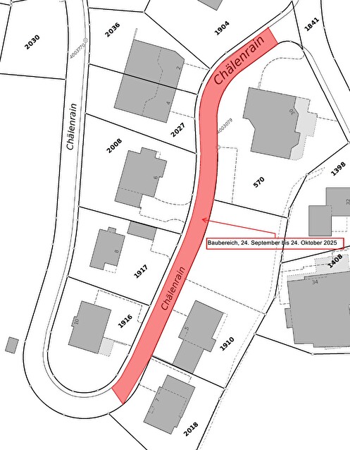
Aufgrund eines Wasserleitungsbruches im Gebiet Chälenrain ist der Bereich Chälenrain Nr. 2 bis Chälenrain Nr. 7 teilweise stark verformt. Bitte achten Sie darauf, die Chälenreinstrasse vorsichtig und mit angepasster Geschwindigkeit zu passieren. Instruieren Sie ggf. die betroffenen Fussgängerinnen und Fussgänger sowie Kinder auf die aktuelle Gefahrenlage.

Infolge der erforderlichen Erneuerung der Trinkwasserleitung am Chälenrain Nr. 2 bis Chälenrain Nr. 7 kommt es vom Mittwoch, 24. September bis 24. Oktober 2025 zu Behinderungen. Es ist mit Wartezeiten bis zu 15 Minuten zu rechnen.

Besten Dank für das Verständnis.

Baubereich Chälenrain
Baubereich Chälenrain